-
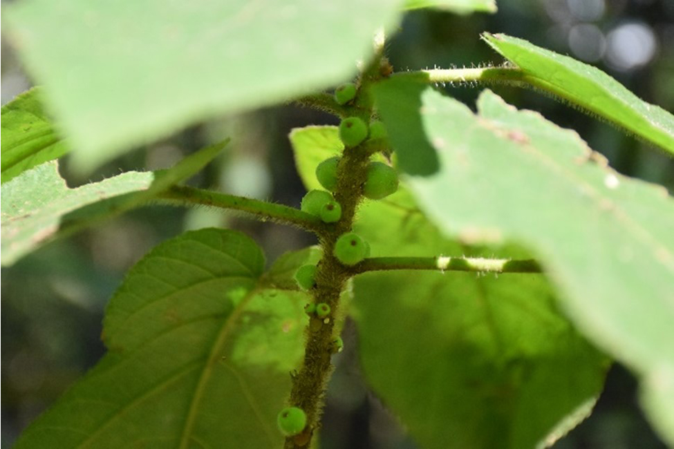
ชื่อสามัญ : มะเดื่อหอม ชื่อวิทยาศาสตร์ : Ficus hirta สถานที่เก็บตัวอย่าง : พื้นที่ป่าปกปักทรัพยากร มหาวิทยาลัยราชภัฏรำไพพรรณี Captive_Cultivated : ไม่อยู่
|
|
| ชื่อสามัญ | : มะเดื่อหอม |
| ชื่อวิทยาศาสตร์ | : Ficus hirta |
| สถานที่เก็บตัวอย่าง | : พื้นที่ป่าปกปักทรัพยากร มหาวิทยาลัยราชภัฏรำไพพรรณี |
| Captive_Cultivated | : ไม่อยู่ |
|
|